Create, edit, or remove a password generator
For more information, see Password generators.
Create a password generator
Go to Processing > Password Generation.
Click Add.
Enter a Generator Name.

Click Create.
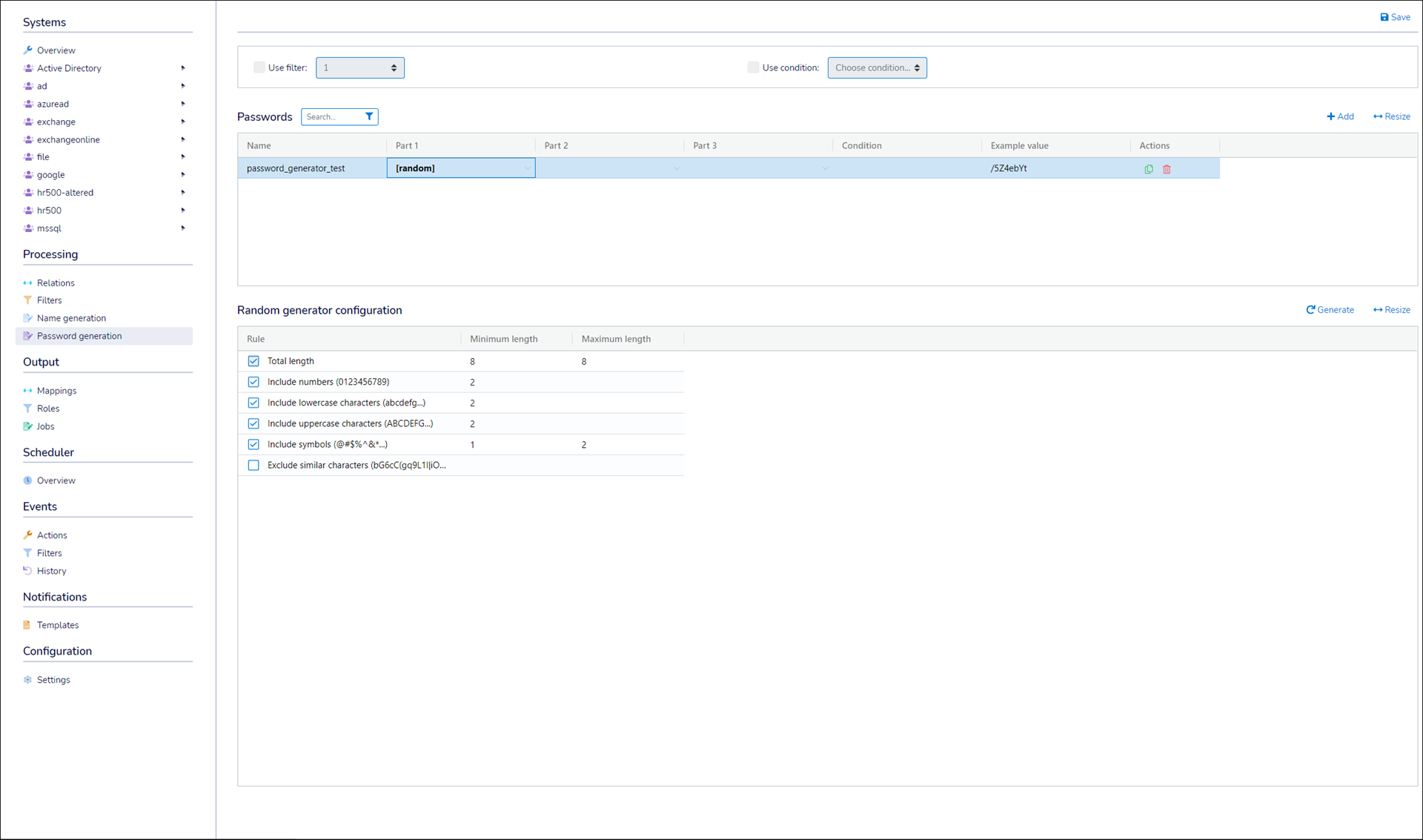
Select Part 1 of the first row in the Password pane.
The Random Generator Configuration pane is populated.

Apply or remove the available configurations by selecting or clearing their checkboxes.
Alter their Minimum Length and Maximum Length as needed.
A real-time preview is available in the Example Value column of the Passwords pane.

Optional: To include non-random elements from user data (e.g., to include the user's first name in the password):
Enable the Use Filter checkbox.
Select a filter. The Columns pane is shown and populated with data.

Drag and drop items from the Columns pane to Parts of the password.

Optional: Click these Parts to apply Conversion Functions to them.
A real-time preview is available in the Example Value column of the Passwords pane.
Optional: Click Add for the Passwords pane and repeat steps (5) - (7) to add additional passwords to this password generator.

Click Save.
Go to Processing > Password Generation.
Click
Edit Password Generator for the relevant password generator.
Continue by following the steps in Create a password generator.
Go to Processing > Password Generation.
Click
Remove Password Generator for the relevant password generator.
Click Yes.